00件
最近見た物件
00件
検討リスト
LIXIL不動産ショップ本多建設TOP > (土地(売買))地域から探す > 米沢市 > 米沢市下花沢2丁目 売地 > 物件詳細
学校やスーパー・ドラックストアなど徒歩20分圏内です!
米沢駅への約10分ほどです。
利便性の高い立地で新生活を始めてみませんか♪











(※元利均等方式 金利5.00%まで ※返済年数5~50年まで入力できます)
(※ボーナスは年2回で計算しています。1000万円まで入力できます)
(※物件購入時、その他諸費用が発生する場合がございます)
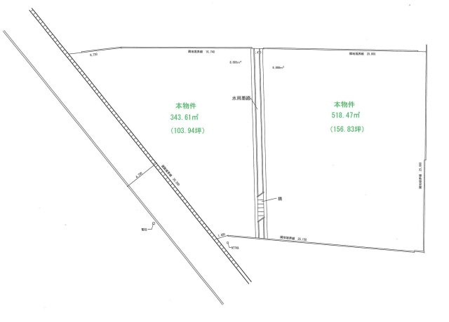
| 所在地 | 山形県米沢市下花沢2丁目1-38 | ||
|---|---|---|---|
| 交通 | |||
| 価格 | 1,900万円 | ||
| 土地の敷金/保証金 | -/- | 借地料/借地期間 | -/- |
| 土地面積(坪数) | 862.08㎡(260.77坪) | 坪単価 | 7.29万円 |
| 私道負担面積/セットバック | -/無 | 高圧線下面積 | - |
| 傾斜地部分面積 | - | 路地状敷地 | - |
| 土地権利 | 所有権 | 接道状況 | 一方(西 公道 4.7m 間口 30.3m) |
| 都市計画 | 非線引区域 | 用途地域 | 準工業 |
| 建築条件 | - | 地目/地勢 | 宅地/- |
| 建ぺい率 | 60% | 容積率 | 200% |
| 総区画数 | - | 販売区画数 | - |
| 国土法届出要否 | 不要 | その他の法令上の制限 | 景観法/用途地域において、準工業地域の大規模集客施設制限地区です。 |
| 取引態様 | 一般媒介 | 現況 | 更地 |
| 引渡時期 | 相談 | 引渡条件 | 更地渡 |
| 最適用途 | - | ||
| 物件番号 | 78711581 | 取引条件の有効期限 | 2026年02月20日 |
| 設備条件 |
|
||
| 取扱会社 |
|
||
| QRコード |
このQRコードを読み取ることで、スマホでも物件情報を確認できます。 |
||
※地図上に表示される物件の位置は付近住所に所在することを表すものであり、実際の物件所在地とは異なる場合がございます。
米沢市下花沢2丁目 売地に関するこだわり条件から探す